€ 275 000
Exclusieve bouwopportuniteit in het groene Beervelde
Droomt u van bouwen op een rustige locatie, omgeven door groen en met een prachtig zicht op de velden? Deze bouwgrond voor een open bebouwing biedt een unieke kans om uw toekomstige BEN-woning te realiseren in een idyllische, autoluwe omgeving.
Hier geniet u van het beste van twee werelden: rust en natuur, gecombineerd met een centrale ligging nabij het centrum van Beervelde en een vlotte bereikbaarheid van alle voorzieningen.
Bouwmogelijkheden:
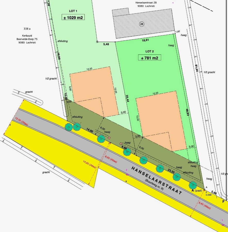
• Bouwdiepte gelijkvloers: 15 m
• Bouwbreedte gelijkvloers: 12,5 m
• Bouwdiepte verdieping: 12 m
• Zijdelingse bouwvrije strook: 3 m
• Voortuinstrook: 6 m
• Maximale kroonlijsthoogte: 6,2 m
Alle aanvragen worden beoordeeld volgens de principes van een goede ruimtelijke ordening, waardoor afwijkingen op deze richtlijnen mogelijk zijn.
Een uitzonderlijke kans om uw droomwoning in een groene en serene omgeving te realiseren.
De 3D-render van de afgebeelde woning is illustratief en kan aangepast worden aan uw woonwensen.
Plan uw bezoek via 09 310 77 07 of via info@woonhoekvastgoed.be
Algemeen
| Adres: | Hanselaarstraat 30 Beervelde |
| Referentie: | 26/020 |
| Vraagprijs: | € 275.000 |
| Type: | Grond |
| Beschikbaar vanaf: | Onmiddellijk |
| Ligging: | Landelijk, Aan rustige weg, Voorstad, Gemeente |
| Perceeloppervlakte: | 749 m² |
| Perceelbreedte: | 18 m |
| Perceeldiepte: | 40 m |
| Type constructie: | Traditioneel |
| Gevelbreedte: | 12,5 m |
| Algemene staat: | Normaal |
Comfort
| Snelweg: | Ja - op 3000 m tot 4000 m |
| Treinstation: | Ja - op 1500 m tot 2000 m |
| Bushalte: | Ja - op minder dan 500 m |
| Winkel: | Ja - op 1000 m tot 1500 m |
| School: | Ja - op 1500 m tot 2000 m |
| Kinderopvang: | Ja - op 1000 m tot 1500 m |
| Bank: | Ja - op 1500 m tot 2000 m |
| Ontspanning: | Ja - op 500 m tot 1000 m |
| Restaurant: | Ja - op 1500 m tot 2000 m |
Wettelijke gegevens
| Niet geïndexeerd K.I.: | € 6 |
| Kadastrale benaming: | LOCHRISTI 4 AFD/BEERVELDE/ |
| Kadastrale Nummers: | 1097BP0000 |
| Kadastrale Oppervlakte: | 749 m² |
| Ruimtelijke Ordening: | In aanvraag |
| Voorkooprecht: | Neen |
| Dagvaarding en herstelvordering: | Geen rechterlijke herstelmaatregel of bestuurlijke maatregel opgelegd |
| Overstromingsgevoelig: | Geen overstromingsgevoelig gebied |
| Overstromingsgebied: | Geen afgebakende zones |
| Overstromingskans perceel (P-score): | A |
| Erfgoed: | Geen beschermd erfgoed |